13449 S County Road 10a, WELLBORN, FL

$19,900

Previous Next

0.50

Acres

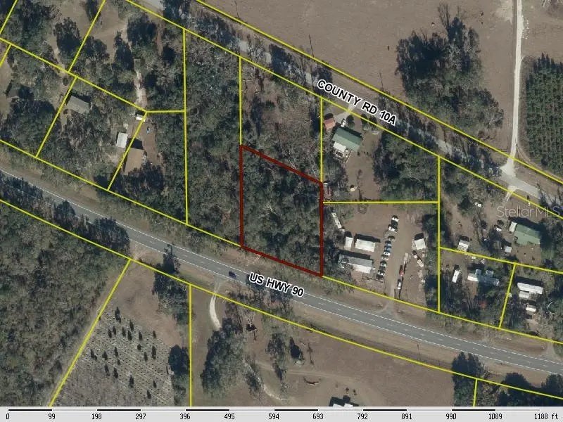
About 13449 S County Road 10a

This is an assignment of contract... Positioned in the quiet countryside of Wellborn, this exceptional half-acre homesite at 13449 S County Road 10A offers the ideal balance of privacy, convenience, and long-term value. Located on a paved county road with electricity readily available and situated in an X flood zone, this property provides a solid foundation for building with confidence while enjoying the peaceful rhythm of North Florida living. The setting is open and usable, allowing for a variety of residential design options, whether the vision is a primary residence, a weekend retreat, or a future investment property. The location is both tranquil and strategically connected. Residents enjoy proximity to North Suwannee Elementary School, Suwannee Middle School, and Suwannee High School, all part of the well-regarded Suwannee County School District. Daily conveniences are just minutes away in nearby Live Oak, including Publix Super Market, Walmart Supercenter, and Winn-Dixie, along with local shops and dining. Outdoor enthusiasts will appreciate close access to the Suwannee River State Park, Spirit of the Suwannee Music Park, and Stephen Foster Folk Culture Center State Park, offering kayaking, hiking, cultural events, and year-round recreation. Pet owners will enjoy the Live Oak Dog Park at Heritage Park, providing a dedicated space for exercise and social time. Healthcare needs are well served with Shands Live Oak Regional Medical Center only a short drive away, while larger medical networks are accessible in Gainesville and Tallahassee. Commuting and travel are efficient with quick access to US Highway 90 and Interstate 10, connecting you seamlessly to Jacksonville, Tallahassee, and Gainesville. Jacksonville International Airport, Gainesville Regional Airport, and Tallahassee International Airport are all within comfortable driving distance, making regional and national travel straightforward. This Wellborn property stands out among available lots for its combination of paved access, utilities availability, flood zone advantage, and proximity to both nature and modern conveniences. It is a rare opportunity to secure land that supports a thoughtful build today while offering enduring appeal and flexibility for the future.

Features of 13449 S County Road 10a

MLS® # A4675651
Price $19,900
Acres 0.50
Type Land
Sub-Type Land
Status Active

Community Information

Address 13449 S County Road 10a
Area Wellborn
City WELLBORN
County Suwannee
State FL
Zip Code 32094

Amenities

Is Waterfront No
Has Pool No

Interior

Fireplace No

Exterior

Lot Description In County, Oversized Lot, Room For Pool, Wooded

Additional Information

Date Listed December 17th, 2025
Days on Market 32
Zoning RES
Foreclosure No
Short Sale No
RE / Bank Owned No

Listing Details

OfficeKELLER WILLIAMS ISLAND LIFE REAL ESTATE

Listing Map

Request a Showing

Provide a valid email address.
When would you like to view this property?